FBpixel

Get More Info

Print A Flyer

Get A Home Loan

Share

0 Tully Pl

Cambria, CA 93428

Copy Link Get Directions

$39,000

0.09 acre

0 Tully Pl

Cambria, CA 93428

Get Directions
Listed On: 09/19/2022
Status: Active
Listing Number: SC22204783 (CRMLS)

Schedule a Tour

Contact Info


Advertising Agent:

London Properties, Ltd.
London Properties, Ltd. 559.436.4071 Email Agent
Property Description
Listing Agent: Jack Posemsky, Jack Posemsky Real Estate

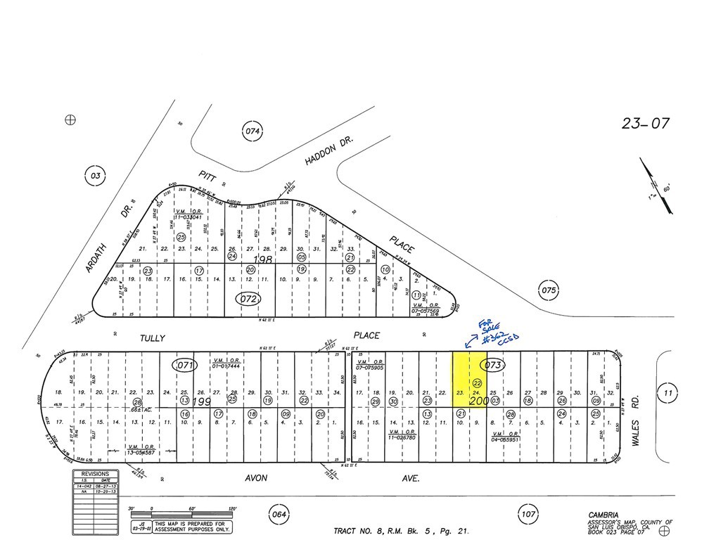
Rural and quiet part of Lodge Hill. Lots of wildlife, oaks & pines. West of Highway One & not far to the beach or ranch trails. #361 on CCSD water wait list. This is a double lot 4100+-sqft, 50'x 82.50' on a gentle down slope. Buy and hold for now until the current building moratorium for new construction is lifted. Check CCSD and county websites (cambriacsd.org & slocounty.ca.gov) for info on the moratorium & allowable uses for property. Offered for $39,000.
Property Sub Type
Water Position With Land
Special Listing Conditions
Standard
Current Use
Unimproved
Possible Use
Residential
Price Per Square Foot
$10
Days On London
1330
Cumulative Days On London
1330
County Or Parish
San Luis Obispo
New Construction Y/N
No
Directions
Ardath Dr heading West to Tully Pl, left on Tully to lots on right side mid block.
Disclosures
Coastal Zone, Moratorium
Water Source
Public
Sewer
Public Sewer
Lot Features
Gentle Sloping, Rectangular Lot
Lot Size Area
4100.0000
Lot Size Units
Square Feet
Elevation Units
Feet
Road Frontage Type
County Road
Road Surface Type
Unpaved
View Y/N
Yes
View
Trees/Woods
Common Interest
None
Parcel Number
023073022
Additional Parcels Y/N
No
Zoning
RSF
Subdivision Name
Lodge Hill(430)
Subdivision Name Other
Lodge Hill(430)
Community Features
Biking, Dog Park, Fishing, Hiking, Preserve/Public Land, Rural
Senior Community Y/N
No
Association Y/N
No
Distance To Water Comments
#361 CCSD
Inclusions
#361 CCSD Water Wait List
Exclusions
None
Land Lease Y/N
No
Tax Block
200
Tax Census Tract
104.04
Tax Lot
23
Tax Tract Number
8

The data relating to real estate for sale on this web site comes in part from the Internet Data eXchange (IDX) of the Multiple Listing Service. Real estate listings are marked with the IDX logo and detailed information about them includes the name of the listing broker and the name of the listing agent. The information being provided is for consumers' personal, non-commercial use and may not be used for any purpose other than to identify prospective properties consumer may be interested in purchasing. Information herein deemed reliable but not guaranteed, representations are approximate, individual verification recommended.

Copyright © 2026  London Properties, Ltd. All rights reserved.