FBpixel

Get More Info

Print A Flyer

Get A Home Loan

Share

0 Worcester

Cambria, CA 93428

Copy Link Get Directions

$59,000

0.08 acre

0 Worcester

Cambria, CA 93428

Get Directions
Listed On: 12/14/2023
Status: Active
Listing Number: SC23226273 (CRMLS)

Schedule a Tour

Contact Info


Advertising Agent:

London Properties, Ltd.
London Properties, Ltd. 559.436.4071 Email Agent
Property Description
Listing Agent: Jack Posemsky, Jack Posemsky Real Estate

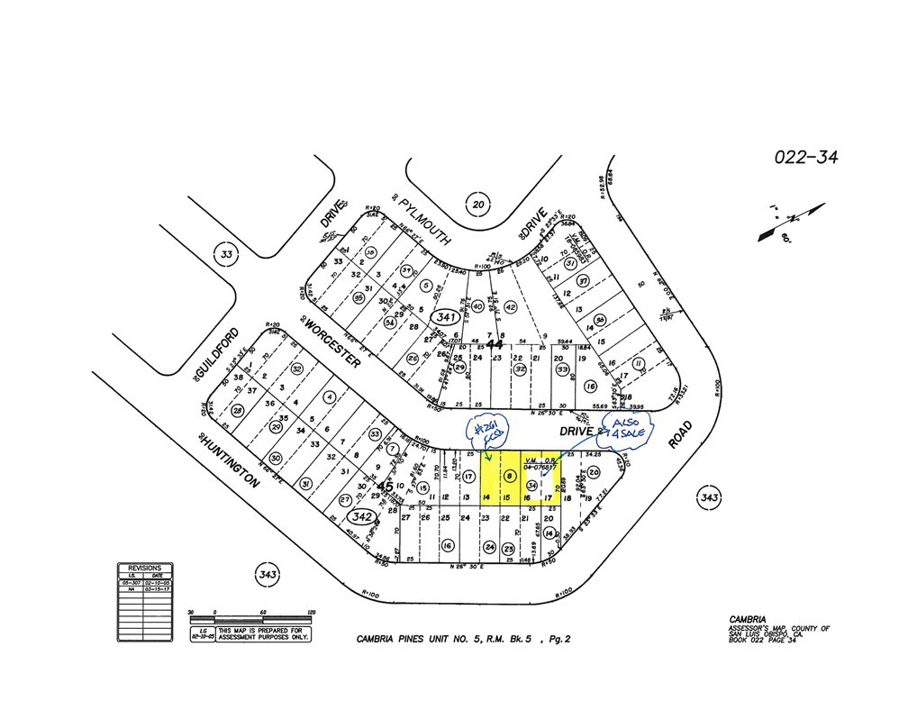
Park Hill double lot, 50'x70' includes #261 on CCSD water wait list. The adjoining double lot also for sale. Possible 4 lot parcel with 2 water positions! Located close to the 400+ acre Fiscalini Ranch Preserve and not far to the beach, West Village and Moonstone Beach Drive. Buy and Hold for now until the current building moratorium for new construction is lifted. Check CCSD and county websites (cambriacsd.org & slocounty.ca.gov) for info on the moratorium & allowable uses for property. Price Reduced! Now Offered for $59,000, Owner May Carry.
Property Sub Type
Water Position With Land
Special Listing Conditions
Standard
Current Use
Unimproved
Possible Use
Residential
Price Per Square Foot
$17
Days On London
884
Cumulative Days On London
884
County Or Parish
San Luis Obispo
New Construction Y/N
No
Directions
Windsor Blvd South to Worcester Dr, left to lots past Guildford Dr on rt side.
Disclosures
Coastal Zone, Moratorium
Water Source
Public
Sewer
Public Sewer
Lot Features
Sloped Down
Lot Size Area
3500.0000
Lot Size Units
Square Feet
Elevation Units
Feet
Road Frontage Type
County Road
Road Surface Type
Paved
View Y/N
Yes
View
Mountain(s), Trees/Woods
Common Interest
None
Parcel Number
022342008
Additional Parcels Y/N
No
Zoning
RSF
Subdivision Name
Park Hill(460)
Subdivision Name Other
Park Hill(460)
Community Features
Biking, Hiking, Preserve/Public Land
Senior Community Y/N
No
Association Y/N
No
Distance To Water Comments
#261 CCSD
Inclusions
#261 on CCSD Water Wait List
Exclusions
None
Land Lease Y/N
No
Tax Block
45
Tax Census Tract
104.04
Tax Lot
14

The data relating to real estate for sale on this web site comes in part from the Internet Data eXchange (IDX) of the Multiple Listing Service. Real estate listings are marked with the IDX logo and detailed information about them includes the name of the listing broker and the name of the listing agent. The information being provided is for consumers' personal, non-commercial use and may not be used for any purpose other than to identify prospective properties consumer may be interested in purchasing. Information herein deemed reliable but not guaranteed, representations are approximate, individual verification recommended.

Copyright © 2026  London Properties, Ltd. All rights reserved.