FBpixel

Get More Info

Print A Flyer

Get A Home Loan

Share

0 Pierce Ave

Cambria, CA 93428

Copy Link Get Directions

$12,000

0.16 acre

0 Pierce Ave

Cambria, CA 93428

Get Directions
Listed On: 04/02/2025
Status: Active
Listing Number: SC25072345 (CRMLS)

Schedule a Tour

Contact Info


Advertising Agent:

London Properties, Ltd.
London Properties, Ltd. 559.436.4071 Email Agent
Property Description
Listing Agent: Jack Posemsky, Jack Posemsky Real Estate

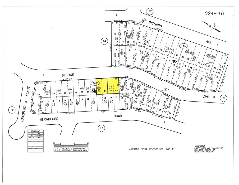
Two +-3500sf Parcels Sold Together. Total of +-7000sf. Two Apn's. Each Double is 50' x 70'. Currently No Water Wait List Position on Either Parcel However Water Positions Can Be Transferred Here. Lodge Hill forest setting, lots of deer and wild turkey roaming about. Feels like old time Cambria. Price Reduced! Now Offered for $12,000.
Special Listing Conditions
Standard
Current Use
Unimproved
Possible Use
Residential
Possible Use Comments
Single Family.
Price Per Square Foot
$2
Days On London
413
Cumulative Days On London
413
County Or Parish
San Luis Obispo
New Construction Y/N
No
Directions
Ardath to Pierce. South on Pierce past Bradford Pl to lots on right side.
Disclosures
Coastal Zone, Moratorium
Water Source
Public
Sewer
Public Sewer
Water Well Y/N
No
Lot Features
Sloped Down
Lot Size Area
7000.0000
Lot Size Units
Square Feet
Elevation Units
Feet
Road Frontage Type
County Road
Road Surface Type
Unpaved
View Y/N
Yes
View
Trees/Woods
Common Interest
None
Parcel Number
024162013
Additional Parcels Y/N
Yes
Additional Parcels Description
024162014
Zoning
RSF
Subdivision Name
Lodge Hill(430)
Subdivision Name Other
Lodge Hill(430)
Community Features
Rural, Biking, Hiking, Preserve/Public Land
Senior Community Y/N
No
Association Y/N
No
Distance To Water Comments
None
Inclusions
None
Exclusions
None
Land Lease Y/N
No

The data relating to real estate for sale on this web site comes in part from the Internet Data eXchange (IDX) of the Multiple Listing Service. Real estate listings are marked with the IDX logo and detailed information about them includes the name of the listing broker and the name of the listing agent. The information being provided is for consumers' personal, non-commercial use and may not be used for any purpose other than to identify prospective properties consumer may be interested in purchasing. Information herein deemed reliable but not guaranteed, representations are approximate, individual verification recommended.

Copyright © 2026  London Properties, Ltd. All rights reserved.