FBpixel

Get More Info

Print A Flyer

Get A Home Loan

Share

1325 1335 15th St

Los Osos, CA 93402

Copy Link Get Directions

$137,000

0.29 acre

1325 1335 15th St

Los Osos, CA 93402

Get Directions
Listed On: 05/16/2025
Status: Active
Listing Number: SC25088934 (CRMLS)

Schedule a Tour

Contact Info


Advertising Agent:

London Properties, Ltd.
London Properties, Ltd. 559.436.4071 Email Agent
Property Description
Listing Agent: Debbi Crossland, Century 21 Masters

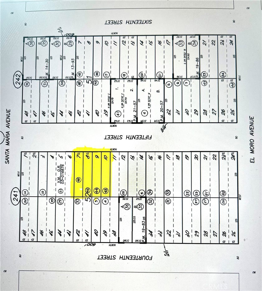
This is an opportunity to purchase a 12,500 sq. ft. unimproved parcel in the bayside community of Los Osos. This is a bulk sale consisting of four adjoining 25' X 125' lots to be sold together, equaling 100' of street frontage. With distant views of the bay, sand dunes, and surrounding hills from street level, it is sure to be a terrific homesite when building is permitted. You'll be a part of a wonderful community offering a coastal lifestyle along with all the amenities this area has to offer. One of the lots is #211 on the Los Osos Waitlist for Building Permits and lot size says 12,500 sq ft. Check with SLO County Dept of Planning & Building to investigate the potential of building on vacant lots in Los Osos. You'll find some great information at https://www.slocounty.ca.gov/departments/planning-building/grid-items/communities-villages/los-osos
Special Listing Conditions
Standard
Possible Use
Residential
Price Per Square Foot
$11
Days On London
333
Cumulative Days On London
333
County Or Parish
San Luis Obispo
New Construction Y/N
No
Directions
South Bay Blvd to Santa Ysabel - head west to 15th St - turn left - go up the hill and past the stop sign - the 4 lots will be on the right side of street
Disclosures
Coastal Commission Restrictions, Coastal Zone, Environmental Restrictions, Unincorporated
Utilities
None
Water Source
None
Sewer
None
Lot Features
Lot 10000-19999 Sqft
Lot Size Area
12500.0000
Lot Size Units
Square Feet
Lot Size Dimensions
100' X 125'
Lot Dimensions Source
Public Records
Elevation Units
Feet
Road Frontage Type
County Road
Road Surface Type
Paved
View Y/N
Yes
View
Back Bay, Dunes, Mountain(s), Peek-A-Boo
Fencing
None
Current Geological Y/N
No
Common Interest
None
Parcel Number
038241043
Additional Parcels Y/N
Yes
Additional Parcels Description
038241044,038241046,038241048
Zoning
SFR
Subdivision Name
Town of El Moro(680)
Subdivision Name Other
Town of El Moro(680)
Community Features
Biking, Golf, Hiking, Horse Trails, Park
Senior Community Y/N
No
Association Y/N
No
Distance To Water Comments
In Street
Land Lease Y/N
No
Assessments
Special Assessments, Buyer to Assume
Special Assessments
See Prop Tax Bill

The data relating to real estate for sale on this web site comes in part from the Internet Data eXchange (IDX) of the Multiple Listing Service. Real estate listings are marked with the IDX logo and detailed information about them includes the name of the listing broker and the name of the listing agent. The information being provided is for consumers' personal, non-commercial use and may not be used for any purpose other than to identify prospective properties consumer may be interested in purchasing. Information herein deemed reliable but not guaranteed, representations are approximate, individual verification recommended.

Copyright © 2026  London Properties, Ltd. All rights reserved.