FBpixel

Get More Info

Print A Flyer

Get A Home Loan

Share

0 Pierce

Cambria, CA 93428

Copy Link Get Directions

$29,500

0.11 acre

0 Pierce

Cambria, CA 93428

Get Directions
Listed On: 03/11/2026
Status: Active
Listing Number: SC26053477 (CRMLS)

Schedule a Tour

Contact Info


Advertising Agent:

London Properties, Ltd.
London Properties, Ltd. 559.436.4071 Email Agent
Property Description
Listing Agent: Blake Spiller, Re/Max Pines by the Sea

Nestled in the heart of California's iconic Central Coast, this vacant double lot in Cambria has views of the towering pine trees and is also close to beach access. It's just a short 5-10 minutes drive to Main Street with all of the shops and restaurants, or take a walk on the Moonstone Beach Boardwalk overlooking the ocean with panoramic views. This lot does not have a water meter or water waitlist position. Call your local realtor today with any questions!
Special Listing Conditions
Standard
Price Per Square Foot
$6
Days On London
63
Cumulative Days On London
63
County Or Parish
San Luis Obispo
New Construction Y/N
No
Directions
Heading North on HW1, tuen left onto Ardath then another left onto Pierce Ave.
Disclosures
Moratorium
Utilities
None, Water Not Available
Water Source
None
Sewer
None
Water Well Y/N
No
Lot Features
0-1 Unit/Acre
Lot Size Area
4931.0000
Lot Size Units
Square Feet
Elevation Units
Feet
Road Surface Type
Paved
View Y/N
Yes
View
Trees/Woods
Fencing
None
Common Interest
None
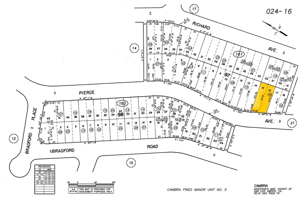
Parcel Number
024161009
Additional Parcels Y/N
No
Zoning
RE
Subdivision Name
Lodge Hill(430)
Subdivision Name Other
Lodge Hill(430)
Community Features
Rural, Biking, Hiking
Senior Community Y/N
No
Association Y/N
No
Land Lease Y/N
No
Tax Block
97
Tax Lot
15

The data relating to real estate for sale on this web site comes in part from the Internet Data eXchange (IDX) of the Multiple Listing Service. Real estate listings are marked with the IDX logo and detailed information about them includes the name of the listing broker and the name of the listing agent. The information being provided is for consumers' personal, non-commercial use and may not be used for any purpose other than to identify prospective properties consumer may be interested in purchasing. Information herein deemed reliable but not guaranteed, representations are approximate, individual verification recommended.

Copyright © 2026  London Properties, Ltd. All rights reserved.