FBpixel

Get More Info

Print A Flyer

Get A Home Loan

Share

2187 Tinkers Penny Ln

Catheys Valley, CA 95306

Copy Link Get Directions

$99,900

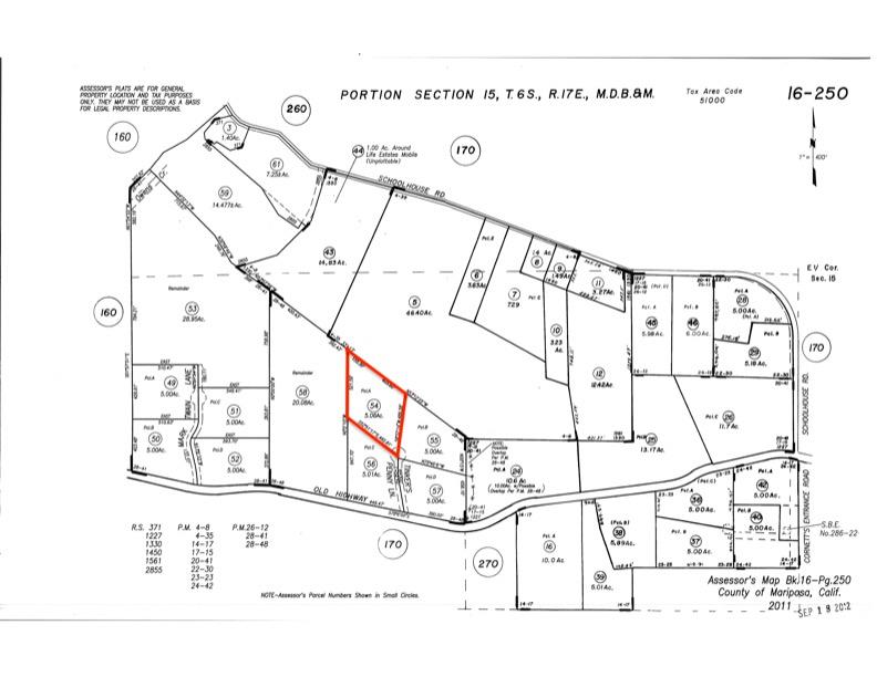
5.06 acres

2187 Tinkers Penny Ln

Catheys Valley, CA 95306

Get Directions
Listed On: 02/06/2026
Status: Active
Listing Number: 643350 (Fresno MLS)

Schedule a Tour

Contact Info


Presented By:

London Properties, Ltd.
London Properties, Ltd. 559.436.4071 Email Agent
Property Description
Take in the wide open spaces of this incredibly buildable and usable foothill property! Located 30 minutes from UC Merced and 20 minutes from Mariposa, this Catheys Valley gem is centrally located to take advantage of city amenities and small town charm. Featuring 5.06 acres, the property is flat and gentle, making it highly versatile to build on at practically any location on site. This parcel is accessed at the end of a paved cul-de-sac within a subdivision with no CC&Rs, so there are no restrictions to what you desire to build on site! On top of that, there are no homes currently surrounding this property, so take advantage of having no neighbors while you can! This is a perfect property for those looking to build their dream home and live a rural lifestyle with horses, livestock, and plenty of extra room for other mountain recreation. The vision for your dream home couldn't be more clear here - stake claim to this gorgeous property!
Property Type
Land
Property Subtype 1
Single Family Residence
Potential Use
Residential, Horses Allowed
Price Per Acre
$19,743
Days On London
99
Cumulative Days On London
99
County
Mariposa
Documents Available
Plot Map, Percolation Report
Improvements
None
REO / Bank Owned
No
Cross Street Address
Old Highway
Directions
From Oakhurst, Highway 49 North to Mariposa, Highway 140 East to Catheys Valley, left on School House Road, right on Old Highway, right on Tinkers Penny Lane, property is at the end of the cul-de-sac.
Gas & Electric
None
Sewer / Water
None
Land / Lot Description
More Than 5 Acres
Accessibility
Private Road, Paved Road
Site Amenities
Cul De Sac, Bluff View
APN
016 250 054
School District
Mariposa
School Type 1
High School
School Name 1
Mariposa
School Type 2
Junior High School
School Name 2
Mariposa
School Type 3
Grade School
School Name 3
Mariposa
Sale Options
Total Parcel Only
Seller Will Consider
Cash

Courtesy of Richard Ballinger, Realty Concepts - Mariposa - [email protected]
Last modified 3 months ago
Fresno MLS last checked for updates 19 minutes ago

The data relating to real estate for sale on this web site comes in part from the Internet Data eXchange (IDX) of the Multiple Listing Service. Real estate listings are marked with the IDX logo and detailed information about them includes the name of the listing broker and the name of the listing agent. The information being provided is for consumers' personal, non-commercial use and may not be used for any purpose other than to identify prospective properties consumer may be interested in purchasing. Information herein deemed reliable but not guaranteed, representations are approximate, individual verification recommended.

Copyright © 2026  London Properties, Ltd. All rights reserved.