FBpixel

Get More Info

Print A Flyer

Get A Home Loan

Share

0 0 Highway 41

Lemoore, CA 93245

Copy Link Get Directions

$250,000

6.50 acres

0 0 Highway 41

Lemoore, CA 93245

Get Directions
Listed On: 03/02/2026
Status: Active
Listing Number: 644639 (Fresno MLS)

Schedule a Tour

Contact Info


Presented By:

London Properties, Ltd.
London Properties, Ltd. 559.589.6600 Email Agent
Property Description
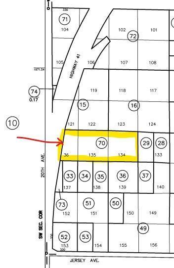
Motivated seller! This is your chance to own 3 Parcels totaling 6.5 acres of land right off of Highway 41 and just minutes away from Tachi Palace Casino. This parcel offers unbeatable visibility and high traffic exposure, with the right planning this could be an ideal location for a future business venture.
Property Type
Land
Property Subtype 1
Agricultural
Price Per Acre
$38,462
Days On London
83
Cumulative Days On London
212
County
Kings
Improvements
None
REO / Bank Owned
No
Cross Street Address
Jersey ave
Directions
-When driving south on Highway 41 -Turn left on Jersey Ave. -Make an immediate left on to the dirt road shared easement''. -Drive North until you come up on markers.
Gas & Electric
None
Sewer / Water
None
Land / Lot Description
More Than 5 Acres
APN
023 510 007 000
School District
Kings Canyon
School Type 1
High School
School Name 1
Kings Canyon
School Type 2
Junior High School
School Name 2
Citrus
School Type 3
Grade School
School Name 3
Lincoln

Courtesy of Samuel Jacques, 168 Real Estate - [email protected]
Last modified 2 months ago
Fresno MLS last checked for updates 13 minutes ago

The data relating to real estate for sale on this web site comes in part from the Internet Data eXchange (IDX) of the Multiple Listing Service. Real estate listings are marked with the IDX logo and detailed information about them includes the name of the listing broker and the name of the listing agent. The information being provided is for consumers' personal, non-commercial use and may not be used for any purpose other than to identify prospective properties consumer may be interested in purchasing. Information herein deemed reliable but not guaranteed, representations are approximate, individual verification recommended.

Copyright © 2026  London Properties, Ltd. All rights reserved.