FBpixel

Get More Info

Print A Flyer

Get A Home Loan

Share

32951 Frazier Rd #2

Auberry, CA 93602

Copy Link Get Directions

$179,000

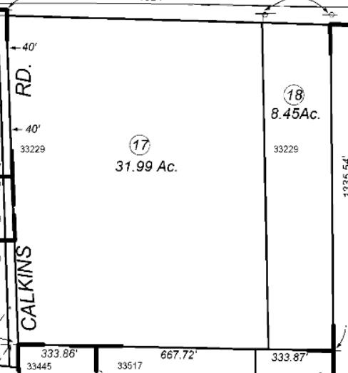
8.45 acres

32951 Frazier Rd #2

Auberry, CA 93602

Get Directions
Listed On: 04/13/2026
Status: Active
Listing Number: 647037 (Fresno MLS)

Schedule a Tour

Contact Info


Presented By:

London Properties, Ltd.
London Properties, Ltd. 559.436.4071 Email Agent
Property Description
Serene and peacefull, veiws of the sierras,This property consists of 8.45 ac, mature trees out croppings, seasonal creeks & streams, pond, close to Shaver lake, Prather,and only 40min to Clovis and Fresno, A great place to build a home
Property Type
Land
Property Subtype 1
Single Family Residence
Region
Foothill
Potential Use
Residential
Price Per Acre
$21,183
Days On London
41
Cumulative Days On London
41
County
Fresno
Documents Available
Plot Map
Improvements
None
REO / Bank Owned
No
Cross Street Address
Spreading Oak Ln
Directions
take 168 east to Prather at the turn about take auberry rd to Frazier rd go left past the church follow the curve rd property is on the left just past Spreading oak ln look for my sign
Gas & Electric
None
Sewer / Water
None
Land / Lot Description
Level, Rolling, More Than 5 Acres
Accessibility
County Road, Private Road
Site Amenities
Seasonal Creek, Gated
APN
128 121 18 [PARCEL MAP]
Zoning
A1
School District
Sierra Unified
School Type 1
High School
School Name 1
Sierra
School Type 2
Junior High School
School Name 2
Foothill
School Type 3
Grade School
School Name 3
Auberry
Sale Options
Total Parcel Only
Seller Will Consider
Cash

Courtesy of Melanie Garabedian, Melanie's Estates - [email protected]
Last modified 3 weeks ago
Fresno MLS last checked for updates 27 minutes ago

The data relating to real estate for sale on this web site comes in part from the Internet Data eXchange (IDX) of the Multiple Listing Service. Real estate listings are marked with the IDX logo and detailed information about them includes the name of the listing broker and the name of the listing agent. The information being provided is for consumers' personal, non-commercial use and may not be used for any purpose other than to identify prospective properties consumer may be interested in purchasing. Information herein deemed reliable but not guaranteed, representations are approximate, individual verification recommended.

Copyright © 2026  London Properties, Ltd. All rights reserved.