Provide a name for your search and specify whether or not you'd prefer to receive email updates.
Get Daily Email Updates
Save Search
Please log in or create an account.
Save Property
Provide a name for your property and specify whether or not you'd prefer to receive email updates.
Get Daily Email Updates
Save Property
Please log in or create an account.
The ULTIMATE Guide To Buying Your Home!
Get Your FREE Copy Share a few contact details and we will send you the guide to your inbox.
THANK YOU!
Check your inbox for the Buyer's Guide.
Get More Info
Please provide the following information and one of our customer service representatives will assist you.
* indicates required fields.
Sending...
Sent!
Get More Info
Print A Flyer
Get A Home Loan
Share
https://www.londonproperties.com/property/link/fresno/647527/0-0-Queen-Elizabeth/Atwater/https://www.londonproperties.com/images/props/fresno/full/647527.jpgLondon Properties Atwater Real Estate | 0 0 Queen Elizabeth
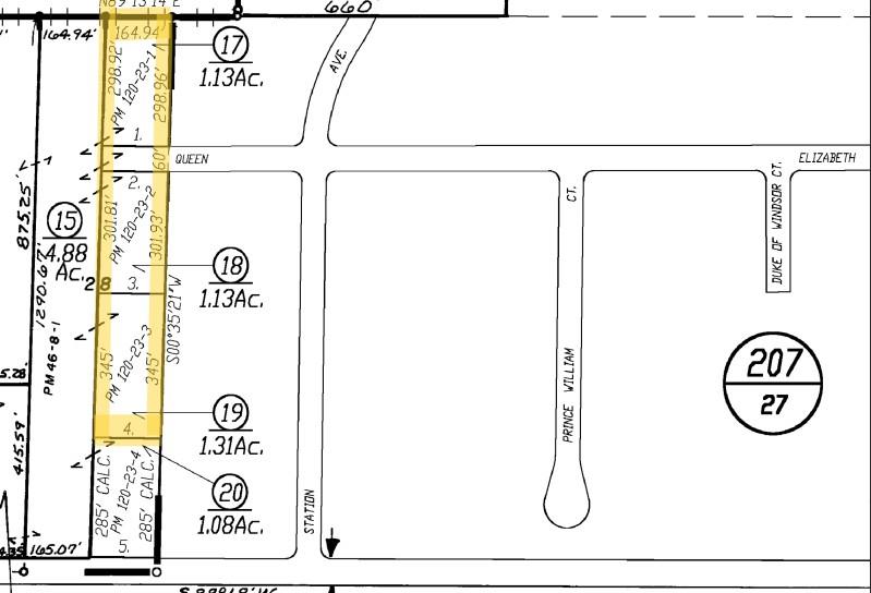
Exceptional residential lot located in the highly desirable McSwain areaan ideal setting to create the home you've always envisioned. Sitting on just over an acre, this spacious parcel offers endless possibilities for your custom build, with plenty of room for a pool, shop, or outdoor entertaining space. Surrounded by beautiful, custom-built homes, the property provides a peaceful rural atmosphere while still being conveniently close to town, schools, and major commuter routes. Enjoy the best of both worldsquiet country living with easy access to nearby amenities. Don't miss this rare opportunity to secure a prime piece of land in one of McSwain's most sought-after neighborhoods. The perfect canvas for your dream home awaits! This Property is being sold along with two other vacant lots.
Property Type
Land
Property Subtype 1
Single Family Residence
Price Per Acre
$127,481
Days On London
20
Cumulative Days On London
197
County
Merced
Improvements
None
REO / Bank Owned
No
Cross Street Address
Station Ave.
Directions
From HWY 140 to Station Ave., Turn left on Queen Elizabeth
Gas & Electric
None
Sewer / Water
None
Land / Lot Description
1 - 5 Acres
APN
215 010 019 000
School District
Atwater
School Type 1
High School
School Name 1
Buhach Colony
School Type 2
Junior High School
School Name 2
Mitchell SR
School Type 3
Grade School
School Name 3
Thomas Olaetan
71109
A: SELECT * FROM `lpdotcom`.`props-main` WHERE `StreetName` = 'fghdfhgdfghdfghdfhgdfghfghfdg' LIMIT 1
0
Courtesy of Araceli Gomez, NextHome D&G Realty Group - [email protected] Last modified 2 weeks ago Fresno MLS last checked for updates 28 minutes ago
The data relating to real estate for sale on this web site comes in part from the Internet Data eXchange (IDX) of the Multiple Listing Service. Real estate listings are marked with the IDX logo and detailed information about them includes the name of the listing broker and the name of the listing agent. The information being provided is for consumers' personal, non-commercial use and may not be used for any purpose other than to identify prospective properties consumer may be interested in purchasing. Information herein deemed reliable but not guaranteed, representations are approximate, individual verification recommended.