FBpixel

Get More Info

Print A Flyer

Get A Home Loan

Share

22311 Grangeville Blvd

Lemoore, CA 93245

Copy Link Get Directions

$450,000

30.02 acres

22311 Grangeville Blvd

Lemoore, CA 93245

Get Directions
Listed On: 11/20/2025
Status: Active
Listing Number: 238516 (Tulare MLS)

Schedule a Tour

Contact Info


Presented By:

London Properties, Ltd.
London Properties, Ltd. 559.589.6600 Email Agent
Property Description
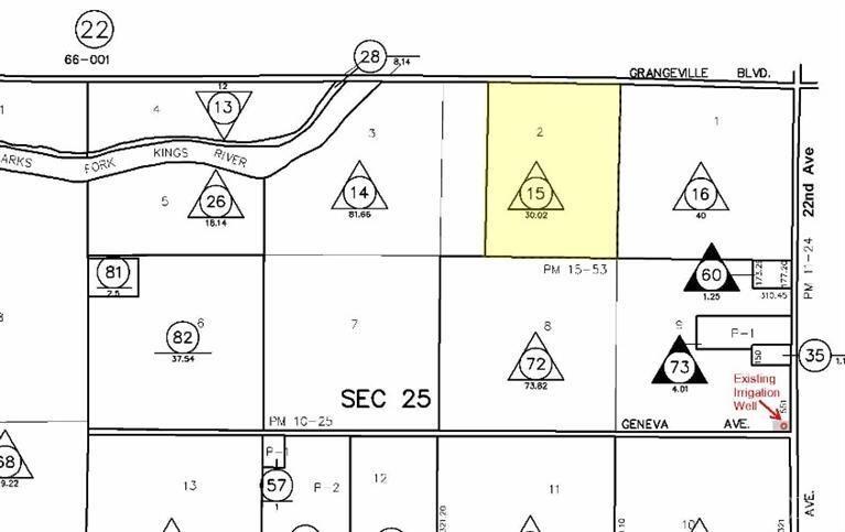
30.02-acre property located in Lemoore, Ca. - along the south side of the South Fork Kings River on Grangeville Blvd, this vacant land offers versatile agricultural potential. The land is zoned AX ( Agricultural) and benefits from District Water, along with a water-price agreement with neighboring properties. A PVC pipeline system is in place for efficient irrigation.
The acreage has a strong farming history, maintained in a consistent rotation of row crops. The property is also enrolled in the Williamson Act, providing potential tax advantages. An adjoining 73.82-acre parcel-featuring an 850' agricultural well-is also available for purchase, offering an excellent opportunity to expand your operation.
Property Type
Farm
Property Sub-Type
Ranch
Days On London
159
Cumulative Days On London
159
County
Kings
Directions to Property
From Hwy 41 go west on Grangeville Blvd to property. On south side of road between 22nd Ave and the River.
Water Source
Shared Well
Garage
No
APN
004 240 015
Lot Features
Level
Lot Dimensions
Buyer to verify
Additional Parcels Y/N
No

Courtesy of Debra White, Real Brokerage Technologies

The data relating to real estate for sale on this web site comes in part from the Internet Data eXchange (IDX) of the Multiple Listing Service. Real estate listings are marked with the IDX logo and detailed information about them includes the name of the listing broker and the name of the listing agent. The information being provided is for consumers' personal, non-commercial use and may not be used for any purpose other than to identify prospective properties consumer may be interested in purchasing. Information herein deemed reliable but not guaranteed, representations are approximate, individual verification recommended.

Copyright © 2026  London Properties, Ltd. All rights reserved.