FBpixel

Get More Info

Print A Flyer

Get A Home Loan

Share

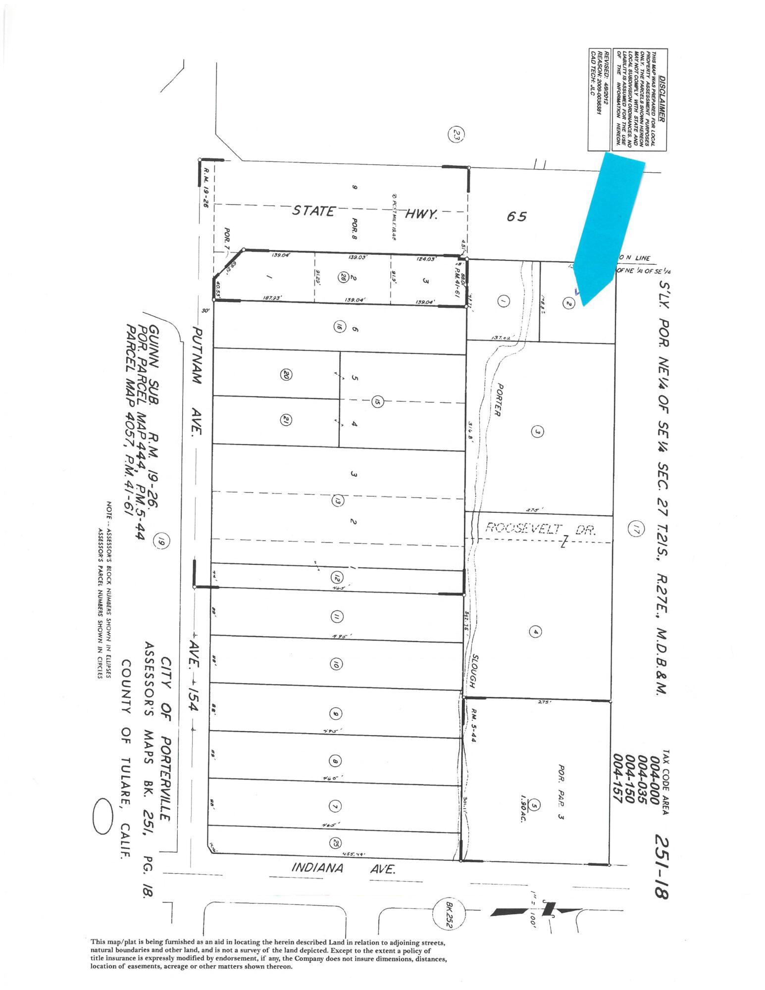
0 Porter Rd

Porterville, CA 93257

Copy Link Get Directions

$60,000

0.47 acre

0 Porter Rd

Porterville, CA 93257

Get Directions
Listed On: 03/15/2026
Status: Active
Listing Number: 240356 (Tulare MLS)

Schedule a Tour

Contact Info


Presented By:

London Properties, Ltd.
London Properties, Ltd. 559.589.6600 Email Agent
Property Description
INVEST WISELY Location, Location, Location!! Three important criteria in the real estate arena. Great lot to establish your business. Lots of traffic, good exposure, convenient access, a vibrant business neighborhood, and close to Highway 65. Almost 1/2 acre. City services to the property according to City map.
Property Type
Land
Property Sub-Type
Commercial
Days On London
63
Cumulative Days On London
63
County
Tulare
Current Use
Vacant
Directions to Property
From the corner of Main Street and Olive Avenue, go west to Porter Road (Next to Hwy 65) and go north past Putnam Avenue to property.
Utilities
Water Connected
Water Source
Public
Sewer
Public Sewer
APN
251 180 002
Lot Features
Level, Near Public Transit
Lot Dimensions
Irregular
Zoning Description
CG (General & Services Commercial)
Additional Parcels Y/N
No
Road Frontage Type
City Street
Road Surface Type
Asphalt
HOA
No

Courtesy of Mike Bennett, Home Realty & Land Co.

The data relating to real estate for sale on this web site comes in part from the Internet Data eXchange (IDX) of the Multiple Listing Service. Real estate listings are marked with the IDX logo and detailed information about them includes the name of the listing broker and the name of the listing agent. The information being provided is for consumers' personal, non-commercial use and may not be used for any purpose other than to identify prospective properties consumer may be interested in purchasing. Information herein deemed reliable but not guaranteed, representations are approximate, individual verification recommended.

Copyright © 2026  London Properties, Ltd. All rights reserved.